Outils d'accessibilité
En ce samedi 12 septembre, les Morses de la section plongée de Callelongue pour le deuxième samedi consécutif, ayant répondu présent en nombre, nous avons sorti nos deux embarcations. Une quinzaine sur le " Suscle II" et 6 autres sur le "Barracuda II" pour faire une plongée sur "les Moyades" un petit îlot qui se trouve à la pointe ouest de l'île de "Riou". Marc et moi étions sur le "Suscle" avec à la barre "Bernard" notre fidèle pilote, direction "Riou".

A l’aller nous avons été très ballotés et aspergés par une mer formée, avec une houle surface et un vent "sud-est" soufflant entre 40 et 60 km/h.

Après avoir mouillé au pied de l'îlot des "Moyades" nous voici prêts pour la plongée, mise à l'eau des palanquées et la plongée commence, par un léger courant au départ

car nous étions à l'abri de l'îlot. Marc et moi nous commençons notre descente dans une claire et une température très agréable 23°, nettement mieux que le samedi précédent.


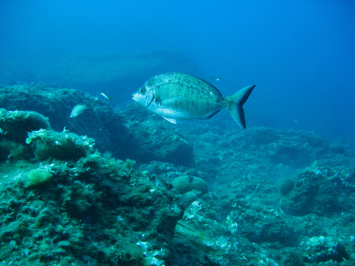
Après 57 minutes de plongée par une profondeur maxi de 24 mètres, nous avons croisé des couples de chapons de belle taille , dont certaine femelles étaient prêtes à mettre bas, un sar tambour qui nous à joué le modèle, en se déambulant sous nos appareils photographiques, les daurades elles aussi n'étaient pas en reste, bien souvent en compagnie de sars de toute les tailles, les girelles et quelques royales étaient de la parade, nous avons aussi pu croiser un beau mérou qui s'en est allé se cacher entre deux gros blocs de rocher, les saupes elles nous ont concocté un défilé digne d'un 14 juillet. Bref c'était encore une belle plongée.



De retour au club nous avons partagé un repas en toute convivialité et en fin de repas, toujours des discutssons très culturelles, où parfois émerge des mots inconnus par beaucoup d’entre nous, expl : Cyprine ? C’est le liquide que sécrètent les glandes de Bartholin d'une femme en cas d'excitation sexuelle.
Photos: Marc MORAND / Jean Claude EUGENE.
Pour ce premier samedi de septembre, le mistral était au rendez-vous, soufflant de 60 à 80 km/h.
13 de nos valeureux Morses et leur pilote, le beau "Mario" embarquaient sur notre fidèle "Suscle II" en direction de l’île Maïre, pour une plongée sur ses Pharillons.
Mise à l’eau avec une houle bien établie, un courant de surface et une eau à 15° : Marc, Guy et moi entamons notre descente le long du tombant de l’île, en direction des Arches des Pharillons.
Nous avons croisé un banc de chinchards, une mostelle, deux beaux chapons, de nombreux sars et quelque daurades, la flore n’était pas de reste avec ses gorgones bleus, se transformant en rouge sous l’éclairage de nos phares. Après 45 minutes de plongée nous revoici à bord où Mario veillait sur les palanquées qui remontaient.
De retour à notre base, nous avons bu le pot de l’amitié et partagé un repas sur notre terrasse avec quelques moments de culture pas piqués des vers! Faisant référence à l’émission Thalassa de la veille ou deux jeunes plongeurs dont un tenait un bébé sur son ventre:
"Oh, Lucien ! Où vas-tu si vaginalement en testiculant de la sorte?
Je me rends au Pas de La Lune en passant par la chatière où paraît-il, on y jouit d'un point de vulve particulièrement clitoresque."
Je ne citerai pas le nom de ce poète et grand philosophe !....
Photos: Marc MORAND
Pour ce dernier samedi d’Août les Morses étaient nombreux à l’appel, avec 3 baptêmes, d’où première sortie à 8h30 pétante avec le Barracuda, sous le commandement de notre Colonel de service, je voulais dire notre ami et moniteur "Frédéric" (qui a gardé des règles d’exactitude militaire).
Le deuxième départ avec notre fidele "Suscle II" qui lui, était plein comme un œuf de dinosaure avec 20 plongeurs et à la barre le grand "Philippe".
Départ 10 h15 direction l’îlot de "Planier", par une mer calme et un soleil de plomb. Arrivés sur les lieux, nous lâchons une première palanquée sur le "Dalton", épave qui se trouve au pied du quai de débarquement du phare, tandis que les autres feront l’épave du "Chaouen" une autre épave du coté opposé, ainsi que les baptêmes, qui se feront sur le glacis au pied de l’île où une vie y est abondante.

Avec Marc mon binôme, je m’immerge dans une eau claire mais chargée de particules, une température moyenne et pas de courant.
Nous commençons notre descente sur l’épave où de nombreux autres plongeurs y évoluent ce qui n’arrange pas le problème des particules.
Après une visite presque complète de l’épave et au bout de 43 minutes de plongée nous revoicis à bord en compagnie des autres palanquées, les baptêmes peuvent commencer sous la houlette de nos moniteurs bénévoles.
Voilà encore une plongée effectuée sur cette célèbre épave dont l’histoire est assez ambigüe: erreur de manœuvre, pas de veille au poste de pilotage, bref nous n’approfondirons pas sur l’histoire.
Photos Marc Morand & JC Eugène
Fin Août chez les Morses
Les vacances tirent à leur fin, pour les morses de MSLC (Marseille Sports Loisirs Culture) c’est le début d’une reprise studieuse: par une rentrée dans l’eau, qui se concrétise par un baptême de plongée de'enfants de 9 et 11 ans et une formation de niveau 2 d’un jeune homme de 28 ans tout cela encadré par nos moniteurs bénévoles.
Ce samedi avant dernier week-end du mois, l’eau était à 16 ° ce qui n’est pas habituel en cette période. Nous constatons que l’algue filandreuse continue à envahir les gorgones, que la faune est abondante et l’eau d’une très bonne visibilité.

Voilà tout ce que l’on pouvait voir du coté de la Boulégeade notre lieu de plongée.
En ce jour de l’Assomption et de l’anniversaire du débarquement en Provence, cela valait bien une plongée !...
Départ de Callelongue sur notre "Suscle 2" avec comme pilote notre "Lulu national", par un vent de nord ouest établi et une mer plus ou moins formée.
Direction le port naturel de plane, ou plutôt la calanque du "Pouars".
Dés notre mise à l’eau, nous somme surpris par sa température de 17° ce qui n’est pas habituel pour un mois d’août ?
Marc et moi, nous partons en direction du tunnel du "Pouars" (où se trouve à l’entrée une plaque commémorative d’un plongeur disparu) long d’une dizaine de mètres débutant à 3 m de profondeur et à la sortie à 14 m, nous tournons main droite et commençons notre descente dans une eau assez claire.
Une faune abondante nous attend : sars, rougets, mostelles, chapons, dents, daurades, saupes et même un banc de sardines à l’entrée de la calanque, nous croisons 2 belles moules navre, bref une plongée extra.
De retour sur notre embarcation après 49 minutes de plongée et une profondeur maxi de 29 mètres.
A bord les discutions commencent, sur la plongée, ou autre c’est là que notre "Lucien" nous sort des mots presque incompréhensible pour la plus part d’entre nous : "Lazzis"(ou quolibets) ou bien encore "prognathe" (se dit d’un être humain dont les mâchoires avancent en saillie) comme vous pouvez le voir "C" de MSLC, c’est bien la culture !
Après l’apéro et un repas pris en toute convivialité, nous avons partagé équitablement le gâteau que Marc nous avait apporté de sa Bretagne natale merci Marc.
Photos : Marc Morand & JC Eugéne
Page 121 sur 184